Toggle navigation
صفحه اصلی
جستجو
طرحها و لوایح
پیشنهاد و طرح مردمی
قوانین و مقررات مرتبط
کتابخانه الکترونیک
درباره ما
تحقیق در قرآن کریم
ارتباط با ما
معرفی سامانه جامع مصوبات شورای اسلامی شهر تهران
معرفی شورای اسلامی شهر تهران
پیوندها
سامانه ملي قوانين و مقررات جمهوری اسلامی ایران
پایگاه روزنامه رسمی جمهوری اسلامی ایران
پایگاه دیوان عدالت اداری
سامانه دستیار هوشمند تنقیح قوانین
ورود
شماره صدور(ابلاغ) : 160/2610/107/16015
تاریخ صدور(ابلاغ) : 1399/07/16
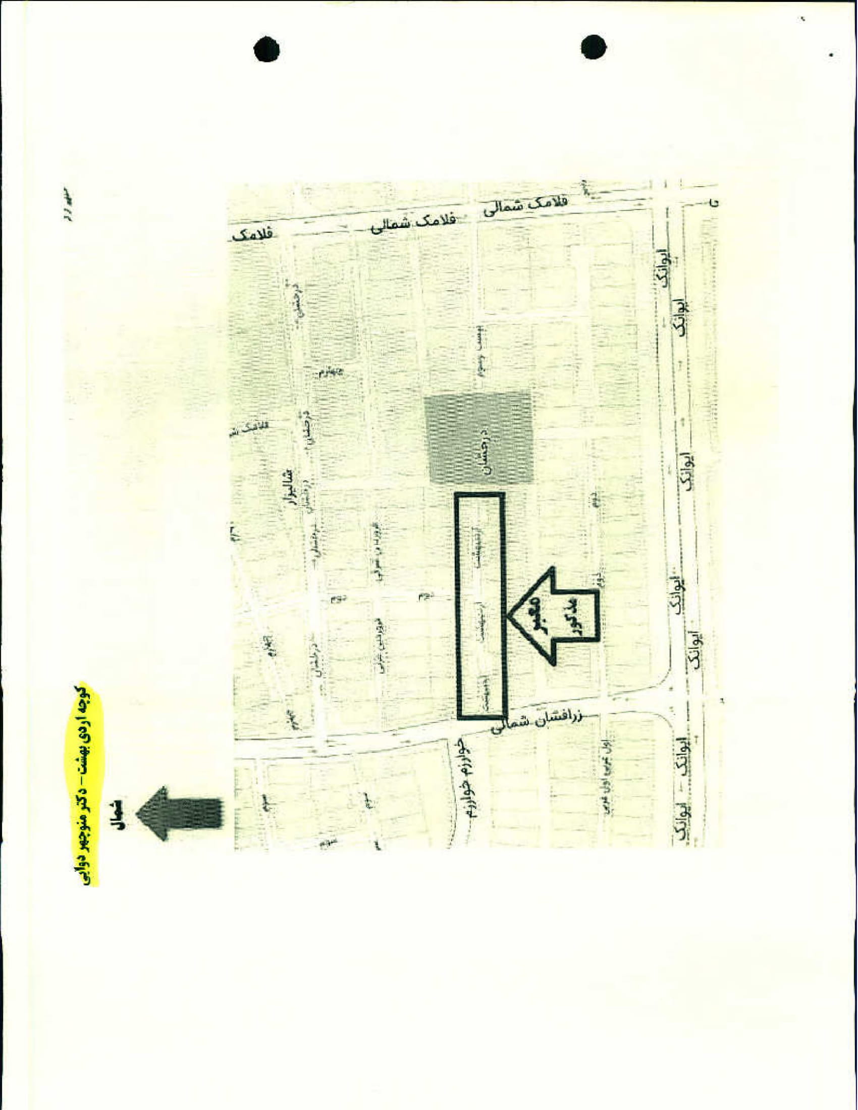
نامگذاري و تغيير نام يك (1) بوستان و هفت (7) معبر عمومي شهر تهران
مصوب 1399/07/13
پرونده جامع مصوبه
سامانه مصوبات
نامه ابلاغ مصوبه
1399/07/16
صفحه مشخصات مصوبه
1399/07/16
متن مصوبه
1399/07/16
گردش کار تصویب
1399/07/16
نقشه و كروكي
1399/07/16
متفرقه
1399/07/16
-نامه ابلاغ مصوبه
1
-صفحه مشخصات مصوبه
2
-متن مصوبه
3
-گردش کار تصویب
4
-نقشه و كروكي
5
-نقشه و كروكي
6
-نقشه و كروكي
7
-نقشه و كروكي
8
-نقشه و كروكي
9
-نقشه و كروكي
10
-نقشه و كروكي
11
-نقشه و كروكي
12
-نقشه و كروكي
13
-متفرقه
14
-متفرقه
15
درحال بارگذاری..